Kerava Tuusulantie 64-66 (-68), 575 000 €
Kerrostalotontti, Tuusulantie 64-66 (-68), 04200, Kerava
Kuvaus
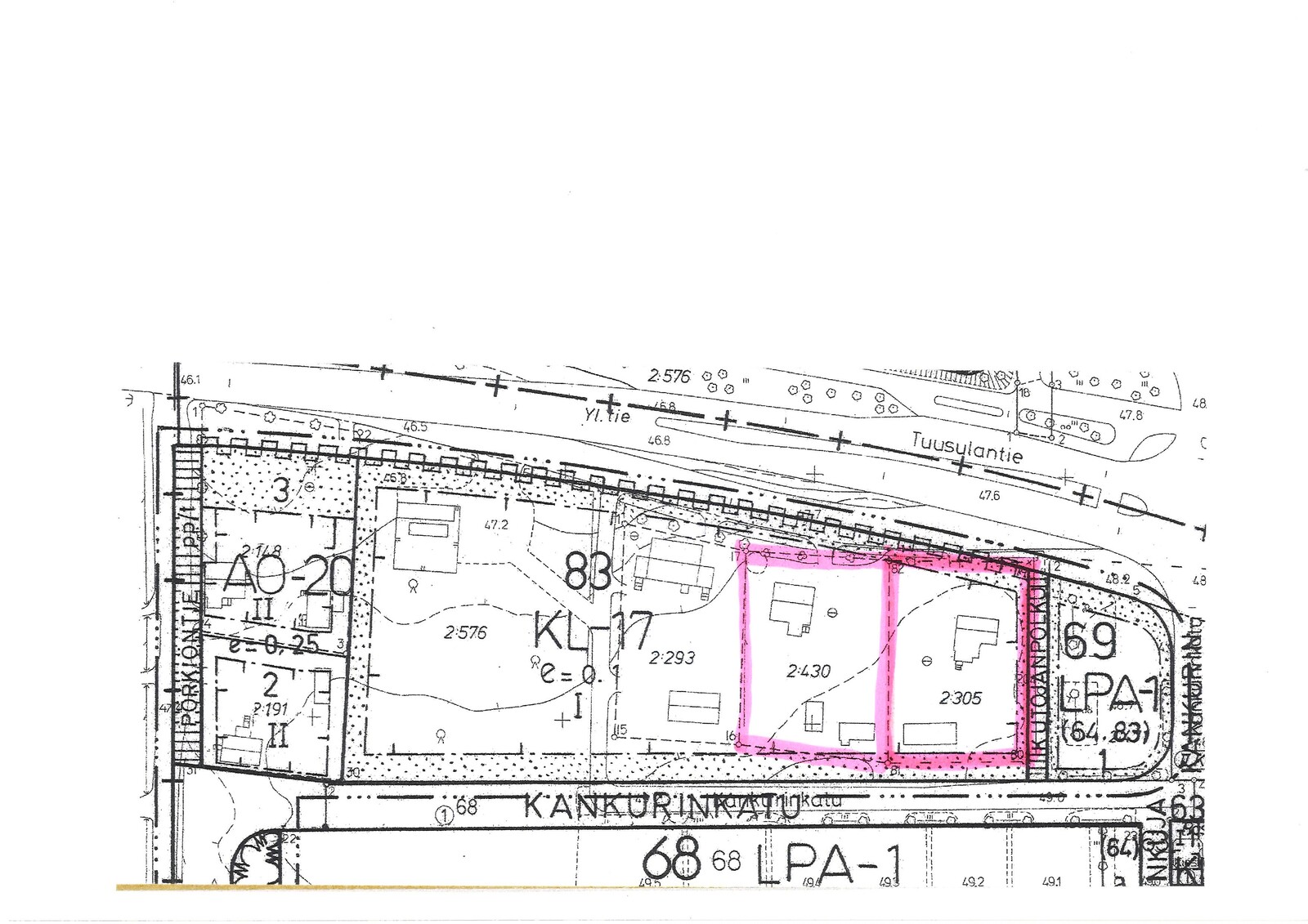
Keravalla lähellä keskustaa (n.1km) kaavoitettava alue 2384m2 (+4500m2), johon mahdollisuus saada AK- rakennusoikeutta +/- 0,8–1,0 saakka. Hyvä sijainti pääväylän varrella kehittyvällä alueella. Luottamukselliset yhteydenotot markku.rautanen@mrautanen.com tai 0500 883 732.
Yhteystiedot ja esittelyt
| Yhteystiedot |
|
|---|
Asunnon perustiedot
| Kohdenumero | 20204078 |
|---|---|
| Sijainti |
|
| Tyyppi | kerrostalotontti |
| Omistusmuoto | oma |
| Vapautuminen | sopimuksen mukaan |
Hinta ja kustannukset
| Velaton hinta | 575000 |
|---|---|
| Myyntihinta | 575000 |
| Lisätietoja maksuista | Kaupan varainsiirtovero 3%, Kaavoituksen yhteydessä maankäyttömaksut kaupungille, samoin kaavoitukseen liittyvät kulut. |
Asunnon lisätiedot
Asunnon tilat ja materiaalit
Taloyhtiö
| Tontin pinta-ala | 2384.0 |
|---|---|
| Tontin omistus | oma |
