Vantaa Asolantie 21, 161 000 €
Omakotitalotontti, Asolantie 21, 01400, Vantaa
Kuvaus
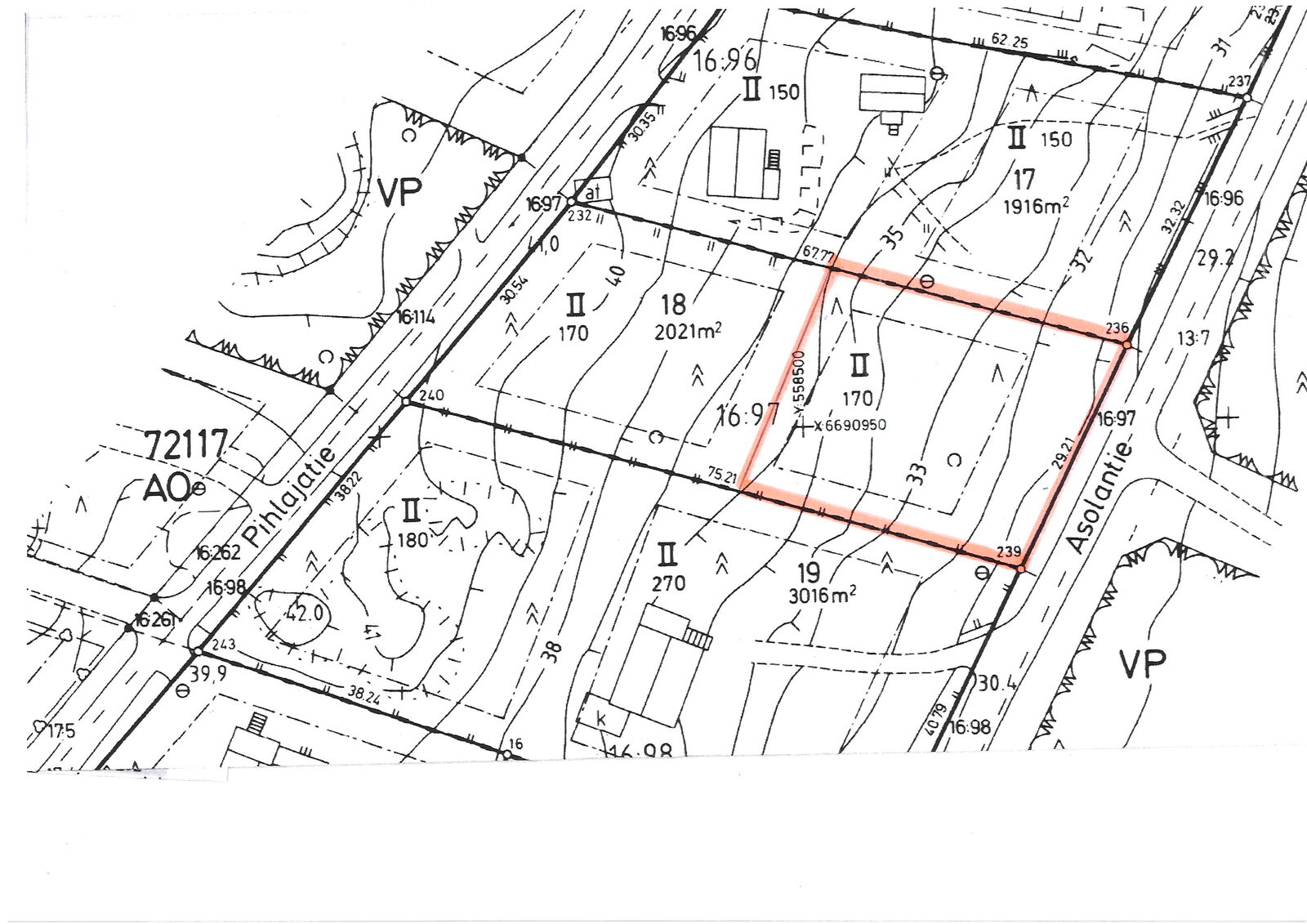
Asolassa nyt tarjolla kovapohjainen, osin rinnetontti n.900 m2, rakennusoikeus 170 m2 + 40 m2 taloustilaa yhden tai kahden perheen talolle. Kunnallistekniikka tiellä, samoin kaukolämpö, ei puerttavia rakennuksia. Kaikki palvelut, päiväkodit, koulut, kaupat, juna-asema, bussiyhteys, sairaala kävelymatkan päässä.
Lisätiedot ja esittelyt: puh. 0500 883 732 tai lähetä sähköpostia markku@mrautanen.com
Yhteystiedot ja esittelyt
| Yhteystiedot |
|
|---|
Asunnon perustiedot
| Kohdenumero | 21473835 |
|---|---|
| Sijainti |
|
| Tyyppi | omakotitalotontti |
| Vapautuminen | heti |
Hinta ja kustannukset
| Velaton hinta | 161000 |
|---|---|
| Myyntihinta | 161000 |
| Lisätietoja maksuista | Tonttijaon laatiminen 1150 eur, tontin lohkominen 900 eur. Kaupan varainsiirtovero 3 % kauppahinnasta. |
Asunnon lisätiedot
Asunnon tilat ja materiaalit
Taloyhtiö
| Tontin pinta-ala | 900.0 |
|---|---|
| Tontin omistus | oma |
